Home 7 Hunter Ridge RD 44 East Shore Drive 30 West Shore Drive 2024 50 Paddock 26 Paddock 6 Locust Lake Wanda 29 Birch Dr 7 Pine St 82 Breakneck Rd

 

 

 

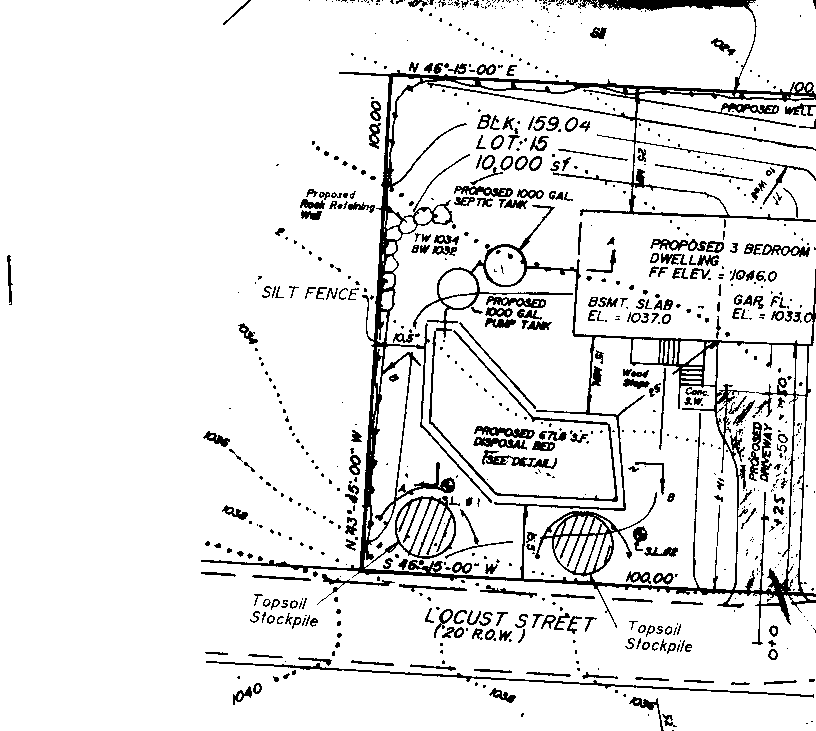
6 Locust, Highland Lakes, NJ 07422, ( Vernon Township), a 100 foot by 100 foot lot (approximately), this to be built Bi-level, if approved, will be built in Vernon.  It will have a first floor of 1258 sq. feet finished with 3 Bedrooms and 2 full baths.  One Bath will be a Master bath.  Under the home will be a completely sheet rocked 2 car garage and an unfinished family room.  All of this is subject to perk test and other approval.  Near or bordering hundreds of acres of State Park Lands.
Top Of Page                                        Designs By John, Inc. Home Page
 
Email designsjohn1952@GMAIL.COM      
Telephone
973-670-6767
 
Postal address
P O Box 75, McAfee, New Jersey, 07428
Corporate address email me at:designsjohn1952@gmail.com

All properties offered on this web site are offered by John T. Cerutti is a licensed realtor in NJ.
Designs by John, Inc. homes, specifications, prices and all aspects of the information on this web site are
subject to change without notice.  Errors and omissions are not the responsibility of Designs by John, Inc.
or John Cerutti. In addition the local municipality may change any and all plans to conform to the land use and
building codes in effect.  The use of our custom builders contract will  enable communication of any and
all details and specifications.  Greater than 1 Exterior stairs and all decks are not included in this offer.  All
garages when included are under the home, attached garages and lower level   "I" (eye) beams are an extra cost.
Design by John, Inc. homes do not include options such as shrubs, bay  window,  brick work or any other  
option pictured or  featured but not offered  with the " standard (heritage) " modular home.  John T. Cerutti  
possesses a real estate license in New Jersey.  This company may offer properties for sale for which it is the contractual owner.

You may purchase a web site of approximately this size and style for  $ 1 500.00*.   Comments, ?'s, Contact: designsjohn1952@GMAIL.COM Pages Maintained by CRCreations, E-mail:CRCreations or Call 973-702-1619.   Copyright (c) 1999 Designs By John, Inc.  You may see other Web Sites created by CrCreation.Com *contract required for this special offer. SSL is not included in this offer. 

 

Sold